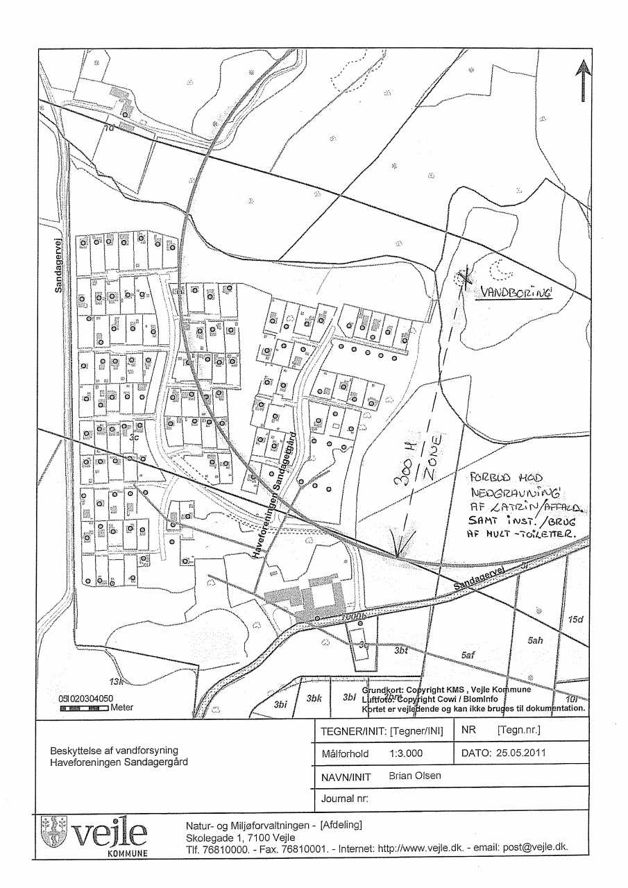
300 M Zone

Indenfor den angivne zone (300 meter fra vores vandboring) er det FORBUDT, at deponerer NOGEN SOM HELST form for latrinaffald.